Tampa Bay Hurricane Ian: Live Cam & Updates

B.Custella 73 views
Tampa Bay Hurricane Ian: Live Cam & Updates

Tampa Bay Hurricane Ian: Live Cam & Updates

Hey everyone! As Hurricane Ian barrels towards Florida, many of us are glued to our screens, watching for updates and trying to stay informed. If you’re looking for real-time views and the latest information on how Hurricane Ian is impacting Tampa Bay , you’ve come to the right place. We’re going to dive into the live cam situation, essential updates, and how to stay safe during this crazy weather. Let’s get started!

Understanding the Impact of Hurricane Ian on Tampa Bay

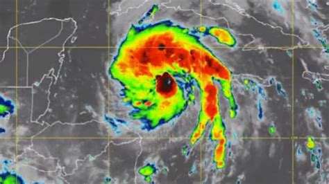
Alright, so Hurricane Ian is a serious storm, and understanding its potential impact on Tampa Bay is super important. We’re talking about a Category 4 hurricane – that’s some serious wind and rain, guys! Tampa Bay is particularly vulnerable because of its geography. The bay’s low-lying areas and extensive coastline make it susceptible to storm surge, which is essentially the ocean water pushed inland by the hurricane’s powerful winds. This surge can cause massive flooding, damage to property, and put people’s lives at risk. The storm surge combined with the intense rainfall also poses a huge flood threat. Depending on the hurricane’s path and intensity, this flooding could affect areas far inland. Plus, the high winds can knock down trees, damage buildings, and cause widespread power outages. Being prepared is key, and understanding what Hurricane Ian could bring to Tampa Bay is the first step. That includes having a plan, staying informed, and taking the necessary precautions to protect yourselves and your loved ones. Make sure you’re keeping an eye on the official updates from the National Hurricane Center and local authorities, and be ready to act quickly if evacuations are ordered. It’s better to be safe than sorry, you know?


Navigating the potential threats of a hurricane requires a clear understanding of its components and their destructive potential. For Tampa Bay, the primary threat stems from storm surge, a phenomenon where the ocean rises rapidly due to the hurricane’s winds pushing water towards the coast. This surge can inundate low-lying areas, causing extensive flooding and damage. The severity of the storm surge depends on several factors, including the hurricane’s intensity, size, forward speed, and the angle at which it makes landfall. Additionally, Tampa Bay’s geography, with its shallow waters and extensive coastline, can exacerbate the storm surge effect. The shape of the bay also plays a role, as it can funnel the water inland, increasing the flooding risk. Rainfall is another significant threat, as heavy downpours can lead to flash floods and river flooding, overwhelming drainage systems and inundating roadways and structures. High winds pose a risk of structural damage, downed trees, and power outages. As the hurricane’s eyewall makes landfall, the winds intensify, causing widespread destruction. Being informed about these potential hazards is crucial for preparedness and response. That includes understanding evacuation zones, knowing your flood risk, and having a plan in place to protect yourself and your property. Remember, staying informed and heeding the warnings of local authorities can make a significant difference in ensuring your safety during a hurricane.


Getting a grip on the impact of Hurricane Ian on Tampa Bay needs a comprehensive grasp of what makes it so dangerous. First off, there’s the storm surge. The storm surge is like the ocean getting a huge shove from the wind and coming inland, leading to massive flooding. The low-lying areas of Tampa Bay , being so close to the water, are at serious risk here. Factors like how strong the hurricane is, how big it is, and how fast it’s moving all play a role in how bad the storm surge gets. Then there’s the rain. Hurricane Ian is expected to bring a ton of it, which could mean flash floods and river flooding. This can overwhelm drainage systems and put a lot of places underwater real fast. Add to that the wind. Strong winds can do serious damage, from downing trees to taking out power lines and messing up buildings. It’s a real trifecta of threats! Because of this, staying informed, knowing what your risks are, and having a solid plan are critical. Keep an eye on what the authorities say, and make sure you’re ready to take action when needed. This isn’t just a suggestion; it’s about making sure everyone gets through this safely.

Where to Find Live Cams of Tampa Bay During Hurricane Ian

Okay, so where do you find these live cams? Fortunately, there are several great options to keep you updated on what’s happening in Tampa Bay during Hurricane Ian . Here are a few places to check out:

  • Local News Stations: Major news channels like WFLA, WTSP, and Fox 13 often set up live cams in strategic locations throughout the Tampa Bay area. You can usually find these streams on their websites or apps. This is one of the best ways to get up-to-the-minute views of what’s happening on the ground.
  • Webcam Providers: Companies that provide webcams to businesses and individuals sometimes offer live streams of their cameras. Check out sites like EarthCam or other similar services to see if they have any cams in the Tampa Bay area. You might get lucky and find a camera in a key location.
  • YouTube: Believe it or not, YouTube can be a goldmine! Search for